

Huracán 'Melissa'
Las consecuencias del huracán ‘Melissa’ a vista de satélite
AS Fotografía
Huracán 'Melissa'
Asusta solo de verlo: el huracán ‘Melissa’ desde el espacio
AS Fotografía

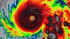
Huracán Melissa
Así se ve el huracán ‘Melissa’ grabado desde su interior
Reuters
Página1



















